"La trayectoria que lleva siempre nos está amenazando y nos va a amenazar, con todos los factores de riesgo que tenemos: vientos, lluvia y olas que provocan inundaciones", aseguró el oficial en el espacio estelar del Noticiero Nacional de Televisión.
Pardo instó a la población a mantenerse atenta a las informaciones del Instituto de Meteorología y la Defensa Civil, y a cumplir disciplinadamente las medidas que se indiquen por las autoridades locales, durante una reunión del órgano de trabajo del Consejo Nacional de Defensa, las Fuerzas Armadas Revolucionarias y el Ministerio del Interior.
Representantes de diferentes ministerios y otros organismos estatales informaron en el encuentro sobre las acciones que emprenden para contrarrestar los efectos del fenómeno meteorológico.
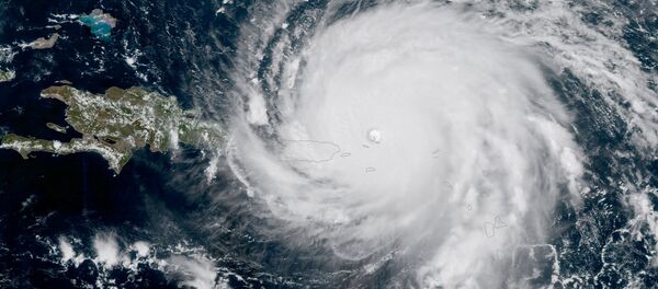
Según expertos, Irma es el huracán más intenso de los últimos 10 años que azota esta zona del Caribe y el primero en llegar a la categoría cinco desde la temporada ciclónica de 2007, cuando Dean y Félix alcanzaron esa magnitud.
Lea más: Se forman otros dos huracanes en el Atlántico, Katia y José
Las fuentes destacan que se trata del meteoro más poderoso formado en el cuerpo principal del Atlántico y uno de los 10 más intensos registrados en el mundo, con vientos sostenidos de 295 kilómetros por hora.
También informaron que se garantizará la atención de aquellos que viven en lugares de difícil acceso y a los extranjeros que visitan el país, tanto en los centros turísticos estatales como los del sector privado denominados aquí "trabajadores por cuenta propia".
Resaltan entre las orientaciones a cumplir la salvaguarda de los recursos económicos fundamentalmente dispuestos en almacenes, bien sean alimentos, medicamentos, materias primas y combustibles.
Más aquí: Impresionantes imágenes del vuelo de un avión a través del huracán Irma
La televisión mostró cómo se desmontan y almacenan parques eólicos, paneles solares, maquinarias de riego, materiales de la construcción y medios de enseñanza en las escuelas, mientras que la Unión Eléctrica Nacional se mantiene alerta para desconectar los sistemas cuando los embates de Irma amenacen los postes y el cableado.
Desde la central provincia de Ciego de Ávila se reportó que con el retorno a su país de un grupo de canadienses comenzó este miércoles la evacuación de turistas que veraneaban en la cayería Jardines del Rey, por el avance y proximidad de Irma a la costa norte del este cubano.
Según la trayectoria del meteoro, este balneario ubicado en los cayos Coco y Guillermo será uno de los puntos más vulnerables y cercanos a los embates del huracán a su paso el viernes por el litoral norte de la central provincia de Ciego de Ávila.
Hasta el momento, todo indica que en la mañana del 8 de septiembre se incrementarán los vientos y marejadas en toda la cayería, con olas de entre tres y cinco metros de altura.
Le puede interesar: Consecuencias del huracán Irma pueden afectar a 37 millones de personas
Unos 6.400 turistas extranjeros y nacionales estaban hospedados en los 17 hoteles de Jardines del Rey y entre el 6 y el 7 de septiembre deben ser evacuados hacia sus hogares o zonas más altas y seguras, se informó.
Mientras tanto, las autoridades de la occidental provincia de Matanzas informaron que ese territorio dispone de cerca de 280 kilómetros de costas en la porción norte, incluido el balneario de Varadero, principal de Cuba.
De acuerdo con esas fuentes, con más de 50 instalaciones hoteleras y amplia estructura extra hotelera, Varadero está listo para recibir a eventuales evacuados desde los cayos del norte de la isla, que podrían unirse a los 17 mil turistas que ya se encuentran en esta playa.




