'Humberto' se intensifica y se aproxima al sureste de EEUU

'Humberto' se intensifica y se aproxima al sureste de EEUU
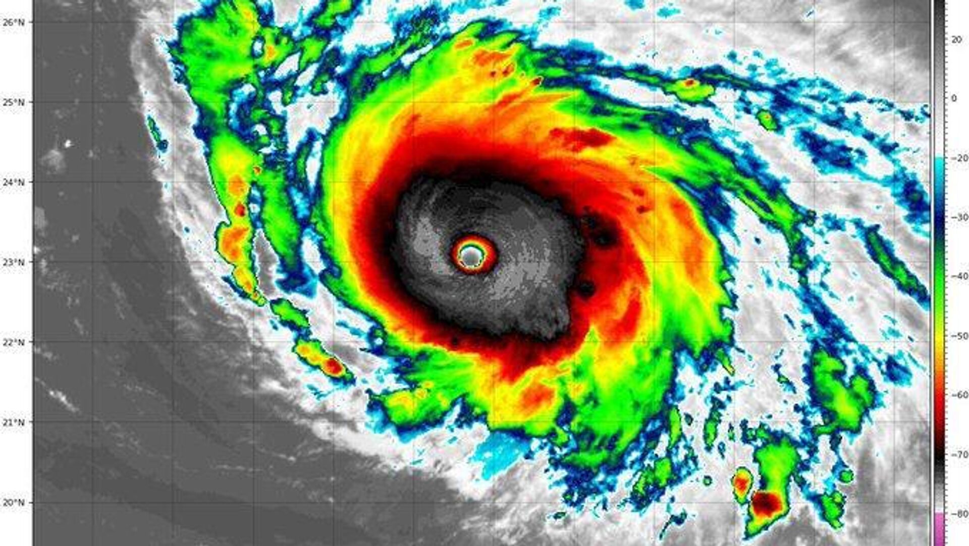
El huracán Humberto se intensificó hasta alcanzar categoría 5 y se acerca al sureste de Estados Unidos peligrosamente, informó el Centro Nacional de Huracanes del país norteamericano (CNH).
El huracán se desplaza sobre las cálidas aguas del océano Atlántico, con vientos máximos sostenidos de 257,5 kilómetros por hora.
Es probable que Humberto siga siendo un poderoso huracán durante los próximos días, según el CNH, con sede en Miami. Además, el organismo informó que las marejadas generadas a su paso afectarán a partes del norte de las Islas de Sotavento, las Islas Vírgenes, Puerto Rico y las Bermudas a partir de la noche del 27 de septiembre y hasta la próxima semana.
Paralelamente, se forma una depresión tropical cerca de las Bahamas, un fenómeno meteorológico que podría generar lluvias torrenciales, marejadas ciclónicas, vientos fuertes y olas peligrosos en el sureste de EEUU.
Síguenos en Sputnik Mundo / Sputnik Mundo Visual


