Huracán Ian sube a la más peligrosa categoría 5 cerca de las costas de EEUU
11:59 GMT 28.09.2022 (actualizado: 15:27 GMT 08.10.2022)

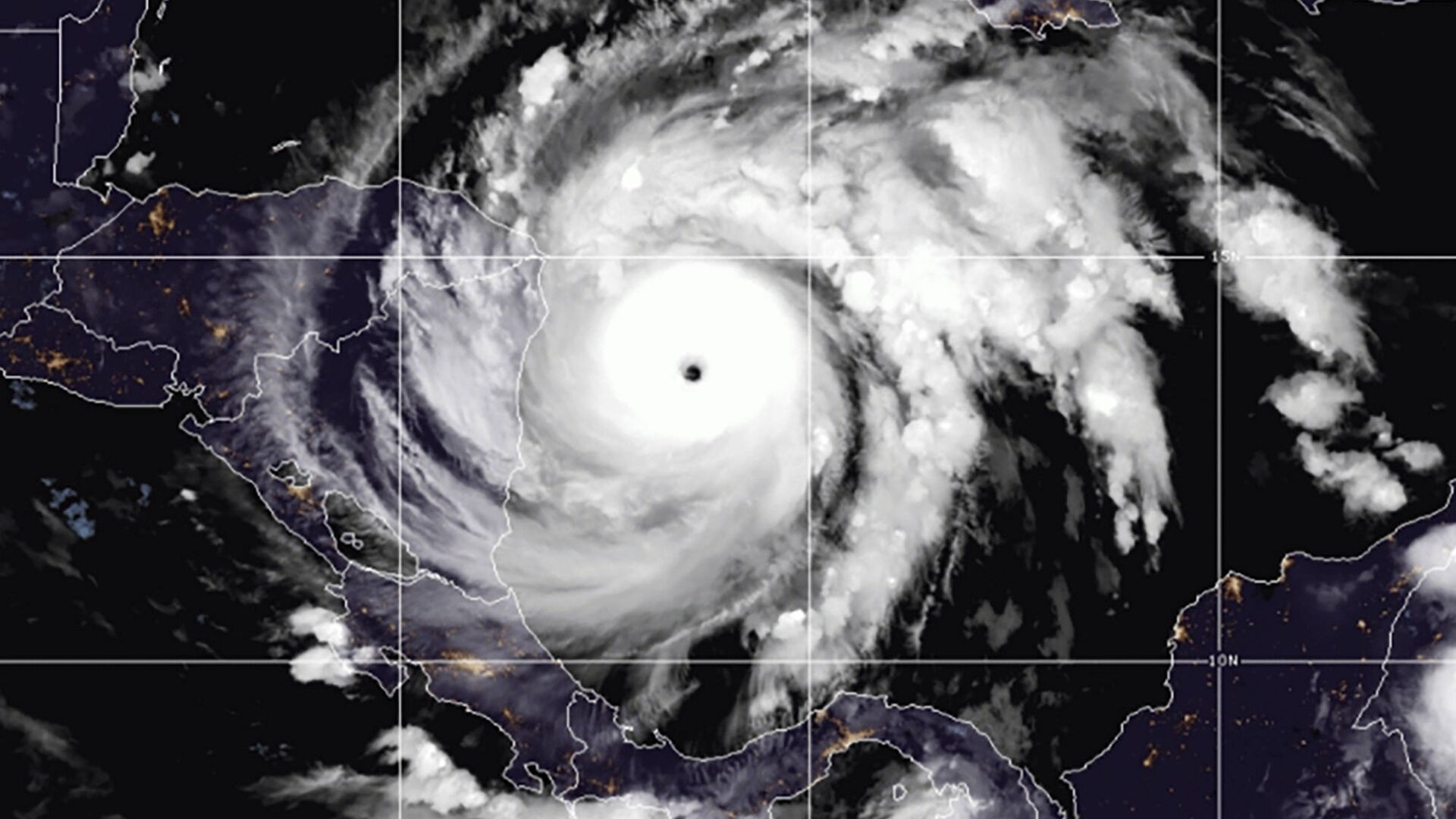
© AP Photo / NOAA
Síguenos en
MOSCÚ (Sputnik) — El huracán Ian subió a la categoría 5 –la más peligrosa– con la velocidad del viento de hasta 250 kilómetros por hora, mientras se está aproximando a las costas estadounidenses, informó el Centro Nacional de Huracanes de Estados Unidos (EEUU).
Según los meteorólogos, el huracán se localiza actualmente a 100 kilómetros de la ciudad de Naples, en Florida, y avanza hacia el noreste con la velocidad de 15 kilómetros por hora.
Más temprano, el mismo centro advirtió de que Ian podría causar fuertes olas, vientos e inundaciones en la península de Florida, y el presidente de EEUU, Joe Biden, anunció el régimen de emergencia en el estado.
El avance del huracán aplazó el lanzamiento del cohete SLS (Sistema de Lanzamiento Espacial), con la nave Orion de la NASA, en el marco de la misión lunar Artemis I, programado para el 27 de septiembre.
Una tormenta tropical recibe un nombre cuando la velocidad de sus vientos alcanza los 62 kilómetros por hora, y se convierte en huracán de categoría 1 en la escala Saffir-Simpson cuando esta cifra supera los 119 kilómetros por hora.
Las categorías 2 y 3 corresponden a los huracanes con vientos de más de 150 y 180 kilómetros por hora, respectivamente, y la categoría 4 se otorga a las tormentas con viento de entre 210 y 250 kilómetros por hora.
La categoría 5, la de Ian, supone vientos de más de 250 kilómetros por hora, y es la más peligrosa desde el punto de vista del daño potencial.
El avance del huracán aplazó el lanzamiento del cohete SLS (Sistema de Lanzamiento Espacial), con la nave Orion de la NASA, en el marco de la misión lunar Artemis I, programado para el 27 de septiembre.
Una tormenta tropical recibe un nombre cuando la velocidad de sus vientos alcanza los 62 kilómetros por hora, y se convierte en huracán de categoría 1 en la escala Saffir-Simpson cuando esta cifra supera los 119 kilómetros por hora.
Las categorías 2 y 3 corresponden a los huracanes con vientos de más de 150 y 180 kilómetros por hora, respectivamente, y la categoría 4 se otorga a las tormentas con viento de entre 210 y 250 kilómetros por hora.
La categoría 5, la de Ian, supone vientos de más de 250 kilómetros por hora, y es la más peligrosa desde el punto de vista del daño potencial.

No te pierdas las noticias más importantes
Suscríbete a nuestros canales de Telegram a través de estos enlaces.
Ya que la aplicación Sputnik está bloqueada en el extranjero, en este enlace puedes descargarla e instalarla en tu dispositivo móvil (¡solo para Android!).
También tenemos una cuenta en la red social rusa VK.

