"Debemos incrementar los trabajos de mitigación, el monitoreo temprano de todas las zonas, el despliegue masivo de personal y las evacuaciones preventivas. Mejor pequemos de alarmistas y no nos lamentemos después de que pudimos haber hecho más", escribió Bukele en su cuenta de la red social Twitter.
Debemos incrementar los trabajos de mitigación, el monitoreo temprano de todas las zonas, el despliegue masivo de personal y las evacuaciones preventivas.
— 🇸🇻 (@nayibbukele) November 16, 2020
Mejor pequemos de alarmistas y no nos lamentemos después de que pudimos haber hecho más.
La Comisión Nacional de Protección Civil de El Salvador incrementó el nivel de emergencia a Alerta Roja, el máximo en la escala de riesgo.
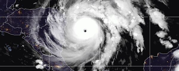
"Le pido a Dios equivocarme, pero parece que será peor que Eta", agregó Bukele en sus redes sociales, donde compartió imágenes satelitales y datos sobre la evolución de Iota, decimotercer huracán de la actual temporada ciclónica.
El inminente impacto de Iota llega apenas una semana después del paso de la tormenta tropical Eta, cuyas bandas de chubascos provocaron inundaciones y deslaves en toda América Central, y dejaron alrededor de 200 muertos, miles de damnificados y pérdidas millonarias en la agricultura.
El ministro de Gobernación, Mario Durán, afirmó que la administración Bukele adopta las medidas necesarias para encarar los posibles daños que dejará Iota en esta nación centroamericana.
El funcionario agregó que los especialistas del Ministerio de Medio Ambiente y Recursos Naturales (MARN) monitorean los ríos y montañas para calcular el riesgo de deslizamientos de tierra, el cual aumentó por la sobresaturación de los suelos con las lluvias de la actual temporada.
El MARN pronosticó que los vientos y lluvias de tipo temporal asociados a Iota comenzarán a sentirse en El Salvador a partir del 17 y durante todo el 18 de noviembre.

