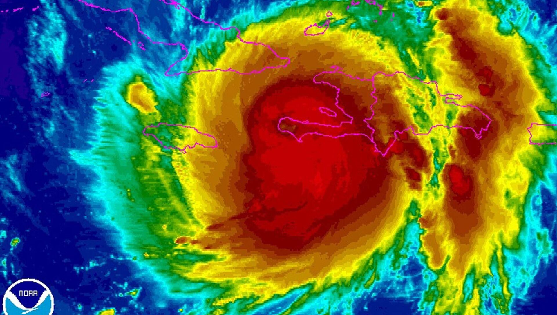
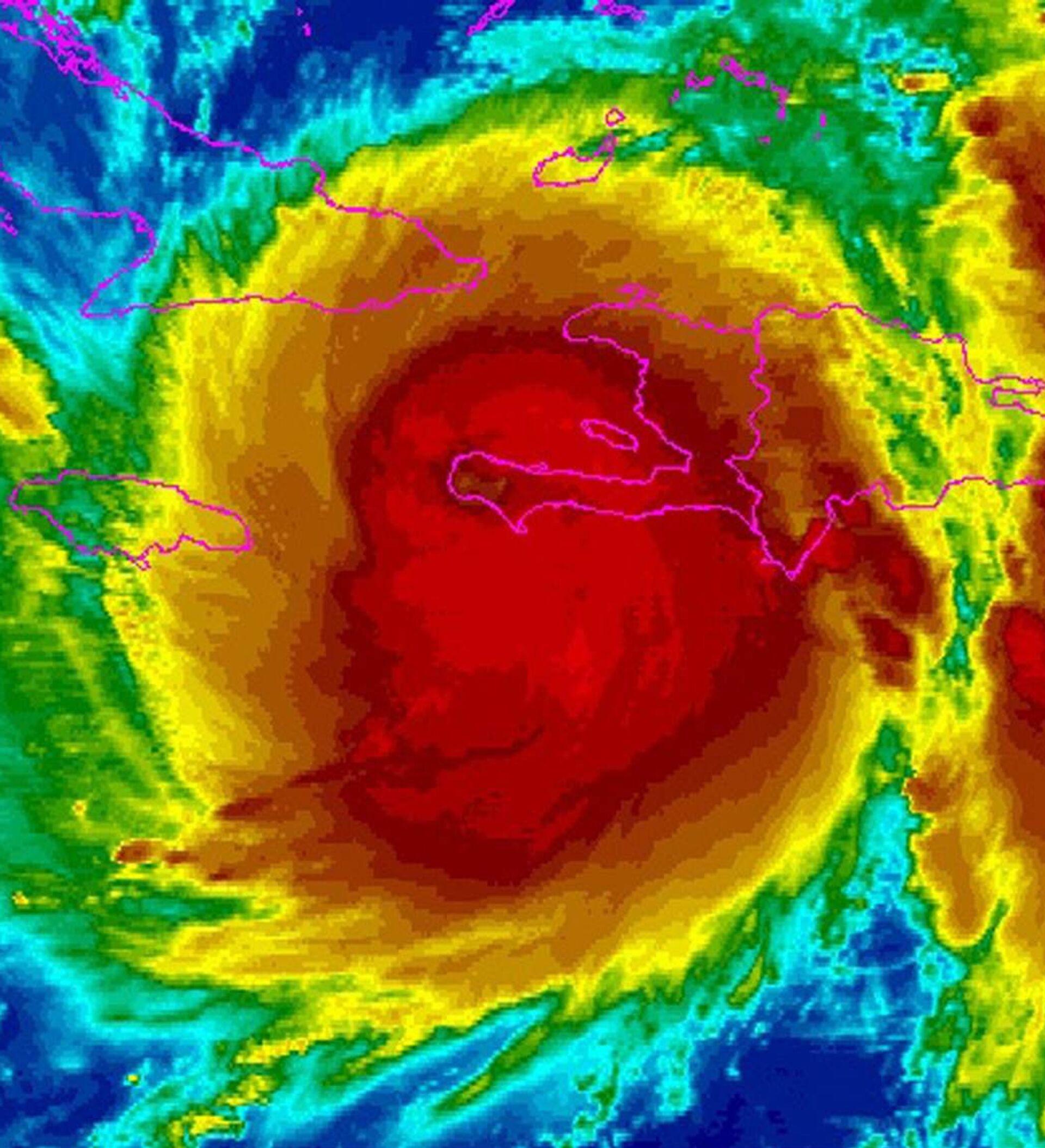
Alrededor de 300.000 mil personas fueron evacuadas en Cuba frente a la llegada del huracán Matthew.
En Santiago de Cuba (sureste) hay alrededor de 60.000 evacuados en viviendas y otros centros de protección y más de 3.200 en albergues, mientras que en Holguín (noreste) hay más de 150.000 evacuados.
La categoría del evento meteorológico mantiene en alarma ciclónica el oriente de Cuba.
Este huracán tocó tierra el martes en Haití, donde dejó cuatro muertos en la zona oeste, según informó el Centro de Operaciones de Emergencias (COE) de la República Dominicana.
El COE reportó también cuatro fallecimientos por el huracán en la República Dominicana.

